Bist 100
8.991,6 0%
DOLAR
31,96 -0,29%
EURO
34,49 -0,2%
ALTIN
2.322,44 -0,7%

Marmara Denizi'nde 50 Yıl Sonra Bulunan Uçak Parçaları

Marmara Denizi'nde, 50 yıl önce düşen THY uçağına ait parçalar su altı dronu ile bulundu.

Yayın Tarihi: 25.01.2026 16:54
Güncelleme Tarihi: 25.01.2026 17:04

Marmara Denizi'nde 50 Yıl Sonra Bulunan Uçak Parçaları

Marmara Denizi'nde 50 Yıl Önce Düşen Uçağın Parçaları Bulundu

Marmara Denizi'ne 50 yıl önce düşen yolcu uçağına ait yeni parçaların bulunduğu iddiaları gündeme geldi. Popüler Youtuber Nedim Kuru ve ekibi, gerçekleştirdikleri dalışlar sırasında su altı dronu ile çeşitli parçaları görüntülemeyi başardı.

Uçağın Tarihi ve Kazanın Detayları

30 Ocak 1975'te, Türk Hava Yollarına (THY) ait 'Bursa' isimli F-28 uçağı, İzmir-İstanbul seferi esnasında Büyükçekmece açıklarında iniş sırasında Marmara Denizi'ne düşmüş ve 42 kişinin hayatını kaybetmesine sebep olmuştur. Bu trajik kazadan sonra, dönemin teknolojik yetersizlikleri nedeniyle enkaza ulaşmak mümkün olmamış, arama çalışmaları da sınırlı kalmıştır.

Yeni Buluntular ve Ekibin Çalışmaları

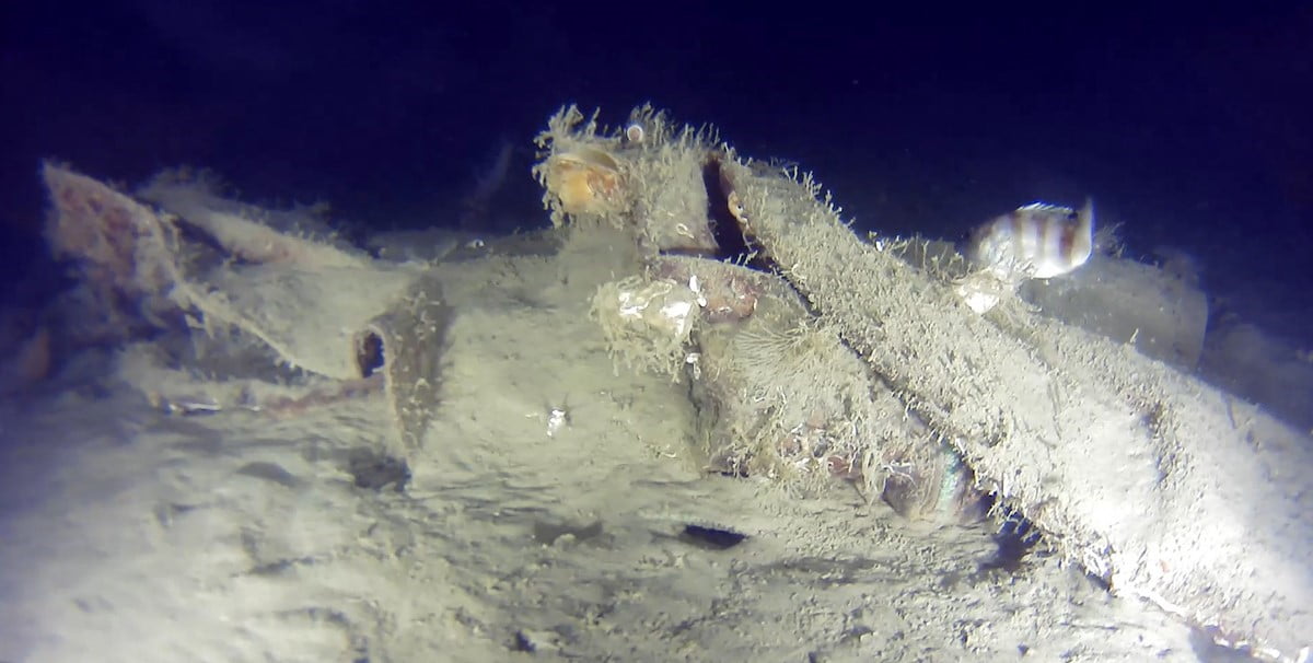
Nedim Kuru, su altı dronu aracılığıyla uçağın yerini tespit ettiğini belirtti. Ekibin önceki dalışında uçağın enkazına ait olduğu düşünülen çeşitli parçalar tespit edilmişti. Son gerçekleştirilen dalışta ise, uçağın gövdesine ait olduğuna inanılan parçalar görüntülendi.

Bu kaza sonucunda hayatını kaybedenler arasında; teknik direktör Fatih Terim’in kayınpederi Kamuran Aksu ve şarkıcı Seyyal Taner’in hostes olarak görev yaptığı kardeşi gibi ünlü isimlerin yer aldığı araştırmalar, geçmişe ışık tutuyor.

MARMARA DENİZİ'NE 50 YIL ÖNCE DÜŞEN UÇAĞIN GÖVDESİNE AİT YENİ PARÇALARI BULUNDU

MARMARA DENİZİ'NE 50 YIL ÖNCE DÜŞEN UÇAĞIN GÖVDESİNE AİT YENİ PARÇALARI BULUNDU

MARMARA DENİZİ'NE 50 YIL ÖNCE DÜŞEN UÇAĞIN YENİ PARÇALARI BULUNDU